A proposed childcare centre and residential subdivision at 66 Crossacres Street in Doollandella remains under review, with further design changes requested as the application continues through assessment.
Project Still In Progress In Doollandella
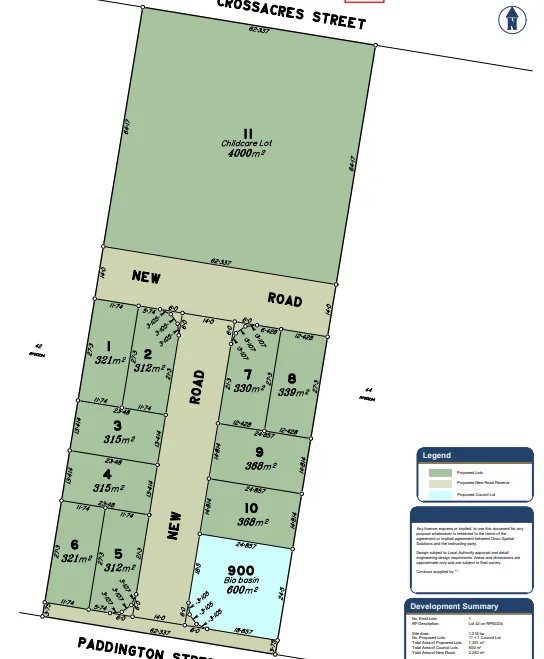
The development application, lodged in August 2025, seeks approval for a childcare centre and a reconfiguration of land within the Doollandella neighbourhood plan area.
The site covers approximately 10,185 square metres and is zoned Emerging Community. Public notification was carried out from 25 November to 16 December 2025, during which submissions were received. No decision notice has been issued.

Inside The Proposed Childcare Centre
Plans outline a single-storey childcare facility designed to accommodate up to 165 children. The building is proposed to reach a maximum height of about 7.64 metres.
The design includes 11 playrooms, indoor and outdoor play areas, and supporting office space. Operating hours are listed from 6:30 a.m. to 6:30 p.m., Monday to Friday.
A total of 35 car parking spaces are proposed on site, including one accessible space. The childcare building has a gross floor area of 1,159.6 square metres.

Subdivision Plans Raise Key Detail Differences
The proposal also includes a subdivision component involving residential lots, a drainage lot, and a new road reserve.
Published planning material differs on the number of residential lots, with one description listing 10 lots and another indicating 11. Both descriptions place the lot sizes between 312 and 368 square metres.
Submission Flags Road And Design Concerns
A submission lodged on 15 December 2025 supported development of the site but raised concerns about the proposed road layout.
The submission indicated the connection to a neighbouring property may be inefficient and could affect future housing yield. It also pointed to gaps in acoustic modelling, particularly regarding potential future residential development on nearby land.

Further Design Changes Requested In 2026
Additional advice issued on 27 February 2026 identified unresolved matters relating to traffic, stormwater management and noise.
Traffic-related issues include verge width requirements, safe vehicle movement and maintaining functionality at the Avington Street intersection. Plans must also provide a compliant pedestrian footpath along Crossacres Street.
Stormwater documentation requires clearer detail on runoff treatment and pollutant control measures. Noise assessment material must address all site boundaries and clarify how acoustic barriers will operate without gaps.
What Happens Next For The Doollandella Site
The application remains under assessment, with no final determination recorded.
Outstanding matters identified during assessment relate to traffic, stormwater and noise, which are expected to be addressed through revised plans.
Published 25-Mar-2026















